Loading...
 
Skip to main content

Holy Cross Cemetery

14609 Brookpark Road, Brookpark, Ohio, USA (1950-current)




Holy Cross Cemetery was established in 1950 to serve the Southwest Side of the Cleveland Catholic community.

Section and Plot Maps

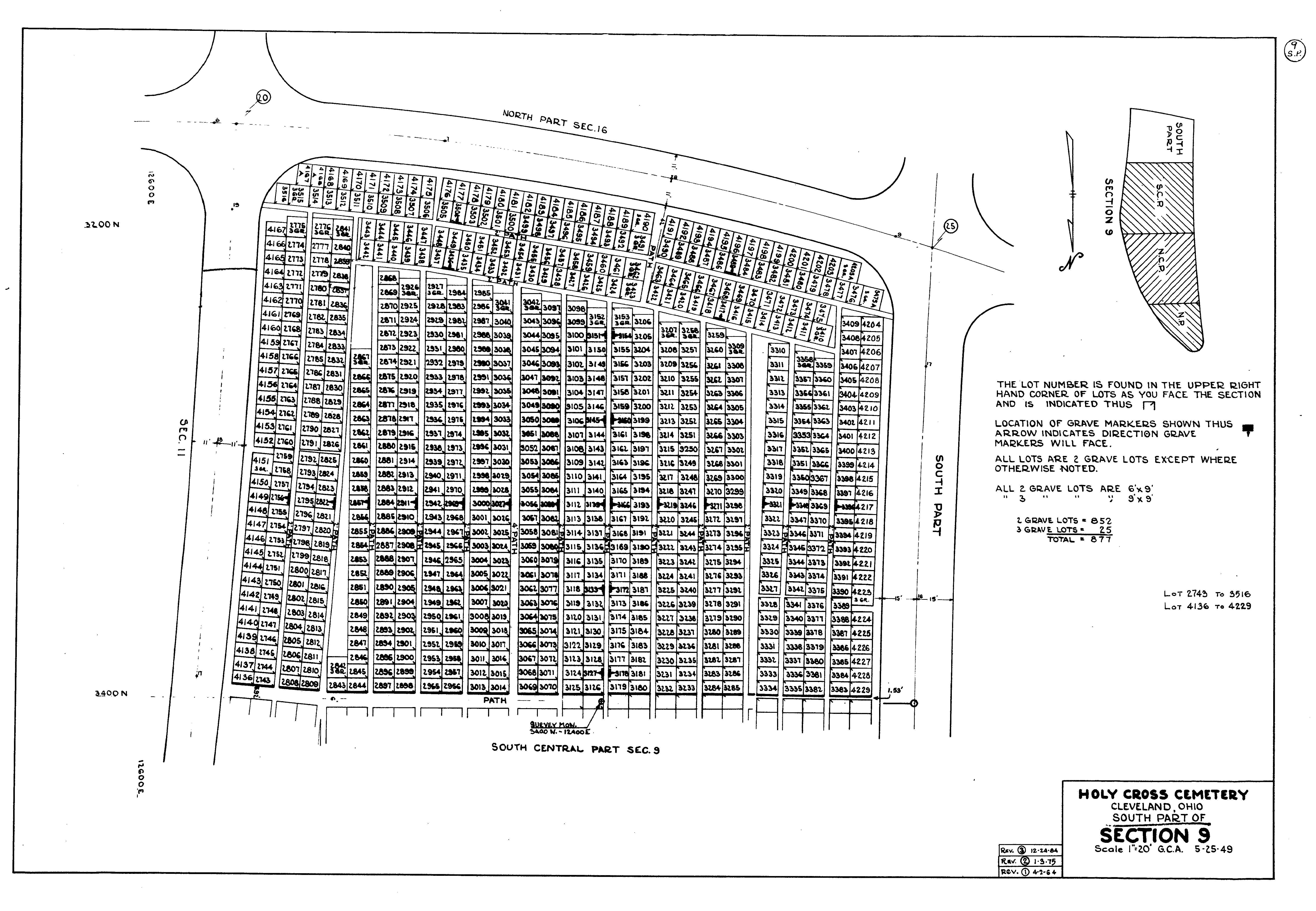
Holy Cross has 49 sections with some fairly large in size. A plot may have 1 to 10 or more graves. Sometimes plots are referred to as lots.
Color Plot Map, Holy Cross, Cleveland, Ohio, USA
Color Plot Map, Holy Cross, Cleveland, Ohio, USA


Sections are often large enough to require multiple plot maps. As a plot number is unique to a section, check all plot maps in a section for the plot number. Multiple maps in a section are usually designated as North, South, West, East, Middle or Center with similar variants ())NorthEast((, ))WestCenter((, and so on).
PLOT MAPS
01 1a 03 04 05 06 07 08 09: s sc nc n 10
11 12 13 14 15 16 17 18 19 20: e w
21 22 23 24 25 26 27 28 29 30
31: n c s 32: e w 33 34 35 36 37 38 39 40
41: e c w 42 43 44 45 46 47 48 49

Often, one has the memorial / mass card that lists the section and plot number. The office can help find the plot on the map if unsure. Otherwise, the office limits how many grave look-ups per day/week each patron can ask for. Once you find a grave, get an accurate GPS coordinate to help with future re-discovery and submit it with the photo of the tombstone to the site.

If you obtain a plot map not available here, please provide a B&W, 600dpi PNG format scan to help others that may follow you.

Holy Cross Cemetery
Cleveland Catholic Cemeteries
Find-a-Grave entry
Interment.net entry


Created by system. Last Modification: Monday 25 of June, 2018 17:17:13 EDT by Randy. (Version 17)