Loading...
 
Skip to main content

All Saints Cemetery




Image
All Saints Front Entrance, Winter

All Saints Cemetery was established in 1964 as one of the newest of 18 managed by the Cleveland Catholic Cemeteries group. It is directly south and slightly east of Cleveland in the town of Northfield just across the Cuyahoga county border in Summit County.

Section and Plot Maps

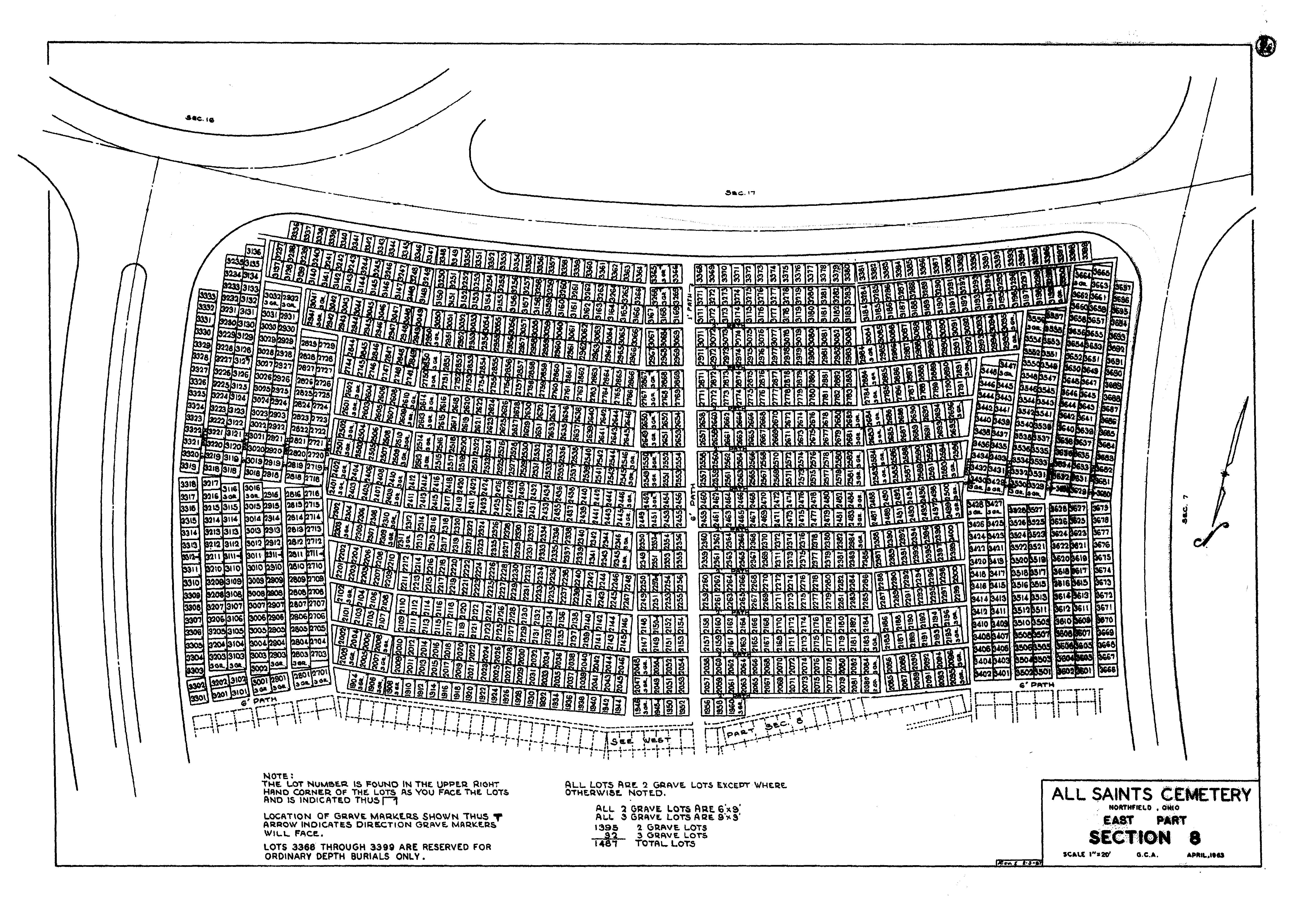
All Saints has 43 sections spread over 271 acres.
Color Plot Map, All Saints, Northfield, Ohio, USA
Color Plot Map, All Saints, Northfield, Ohio, USA


Sections are often large enough to require multiple plot maps. As a plot number is unique to a section, check all plot maps in a section for the plot number. Multiple maps in a section are usually designated as North, South, West, East, Middle or Center with similar variants (NorthEast, WestCenter, and son on).
Put plot numbers in bold until replaced by links for maps known to have.
PLOT MAPS
01 02 03: e w 04 05 06 07 08: e w 09 10
11 12 13 14 15 16 17 18 19 20
21 22 23 24 25 26 27 28 29 30
31 32 33 34 35 36 37 38 39 40
41 42 43

Often, one has the memorial / mass card that lists the section and plot number. The office can help find the plot on the map if unsure. Otherwise, the office limits how many grave look-ups per day/week each patron can ask for. Once you find a grave, get an accurate GPS coordinate to help with future re-discovery and submit it with the photo of the tombstone to the site.

If you obtain a plot map not available here, please provide a B&W, 600dpi PNG format scan to help others that may follow you.

All Saints Cemetery
Cleveland Catholic Cemeteries
Find-a-Grave entry



Created by Randy. Last Modification: Monday 25 of June, 2018 17:01:34 EDT by Randy. (Version 5)